Didmalaf

Bienvenu sur le site de Sabay Dii

En laotien, Sabay Dii signifie "bonjour", "salut", "ça va"...
Dans la pratique, cette expression est utilisée chaque fois qu'on est heureux de rencontrer quelqu'un.
Pas étonnant que j'ai baptisé mon bateau "Sabay Dii", non ?

dimanche 22 mars 2015

De retour sur Sabay Dii

J'avais lâchement abandonné Sabay Dii à son propre sort, à l'approche du cyclone Pam. Je l'avais néanmoins préparé pour le pire et l'avais amarré à un solide corps mort à Opua, l'endroit le mieux abrité de toute la côte Est de la Nouvelle-Zélande.
Heureusement, les conditions météorologiques ont été bien moins mauvaises que prévues : un peu moins de 100 km de vent dans les claques alors qu'on annonçait presque le double (100 nœuds) en continu, et des pluies très fortes alors qu'on attendait un véritable déluge.
De mon côté, c'était le grand beau temps dans les îles du Pacifique, où j'étais parti pour revoir mes amis Heimata et Hotu à Tahiti, et Tintin à Tongatapu. J'en ai profité pour faire un petit stop à Rarotonga aux îles Cook, où j'ai eu l'impression de m'être égaré dans un tableau de Botero (je crois n'avoir vu personne de moins de 150 kg pendant mon court séjour).
De retour à Opua, j'ai aperçu mon cher bateau dans la brume
égal à lui même, comme si de rien n'était.
Après l'avoir inspecté sous toutes les coutures, je n'ai eu qu'à me féliciter du choix d'Opua comme mouillage, de mon travail de préparation, de la météo moins terrible que prévue, et des qualités intrinsèques du bateau.
Il devrait prêt parfaitement prêt à passer quelques mois tout seul ici, pendant que je reviendrai en France pour profiter de l'été, quand le mauvais temps sévira ici, dans l'hémisphère sud.
Eh oui, j'enchaîne les étés les uns à la suite des autres, comme on enfile des perles, et cela me va très très bien.


Publié par SABAY DII à 23:15 1 commentaire:
Envoyer par e-mailBlogThis!Partager sur XPartager sur FacebookPartager sur Pinterest

mardi 17 mars 2015

Départ retardé de la Volvo Ocean Race à Auckland

Le Cyclone PAM fait des siennes !
Le départ de la cinquième étape de la mythique Volvo, entre Auckland et Itajai, vient d’être reporté au mieux à mardi, pour des raisons de sécurité. Ce sont en effet des conditions dantesques qui sont attendues pour dimanche, date initialement prévue pour le départ de la course. On parle de vagues de 22 mètres et de vents entre 50 et 80 nœuds (150 km/h) ! En cause, le cyclone tropical, Pam, qui évolue en ce moment au large de la Nouvelle-Zélande avec des vents enregistrés à 200 km/h. « Notre principal sujet d’inquiétude est l’état de la mer plus que le vent. Les bateaux peuvent supporter des vents très forts mais il y aura des vagues énormes le long de la côte néo-zélandaise et il n’y a rien pour s’abriter » précise Knut Frostad, le CEO de la Volvo Ocean Race sur ActuNautique.com. En effet, quelque soit la trajectoire du cyclone et même s’il passe au large de la Nouvelle-Zélande, il générera une mer démontée susceptible de causer de graves problèmes à la flotte dès l’entame de la course.

Oui, vous avez bien lu. On s'attend à des vagues de 22 mètres au large de la Nouvelle Zélande !!!
Publié par SABAY DII à 01:21 Aucun commentaire:
Envoyer par e-mailBlogThis!Partager sur XPartager sur FacebookPartager sur Pinterest

dimanche 15 mars 2015

"Quinze ou trente minutes de terreur absolue" au Vanuatu frappé par le cyclone Pam

Dépêche AFP du 14 mars 2015 à 09:49 (photos de l'UNICEF Pacific / AFP)Le cyclone Pam frappe le Vanuatu et sa captitale Port Vila, samedi 14 mars.
Le passage du cyclone Pam sur cet archipel pourrait être l’une des pires catastrophes naturelles du Pacifique Sud, avec des dizaines de morts et d’énormes destructions.
Un très violent cyclone tropical a frappé l’archipel de Vanuatu et, selon des informations encore partielles samedi, pourrait représenter l’une des pires catastrophes naturelles du Pacifique Sud, avec des dizaines de morts et d’énormes destructions. Selon le Daily Telegraph, le décès de six personnes est déjà confirmé. D'autres journalistes parlent de huit morts.
View image on Twitter
View image on Twitter

View image on Twitter















«Quinze ou trente minutes de terreur absolue», c’est ainsi qu’Alice Clements, une responsable de l’Unicef sur place, a décrit le passage de Pam, un cyclone de catégorie 5 (la plus élevée), sur le Vanuatu, ancienne colonie administrée conjointement par la France et le Royaume-Uni. «Les premières informations indiquent que cette catastrophe naturelle pourrait être l’une des pires dans l’histoire du Pacifique», a écrit dans un communiqué Vivien Maidaborn, directrice exécutive de l’Unicef Nouvelle-Zélande.
«Nous avons pu voir des morts, (il y a) potentiellement un nombre important de morts, mais nous ne savons pas encore» quelle est l’ampleur du bilan, a déclaré Sune Gudnitz, chef du bureau des Nations unies pour la coordination des affaires humanitaires (Ocha) dans le Pacifique.
L’ONU dispose d’informations non confirmées selon lesquelles 44 personnes auraient péri dans une seule des provinces du Vanuatu, un archipel pauvre de 270 000 habitants qui est l’ancien condominium franco-britannique des Nouvelles-Hébrides. «Il semble qu’il y ait des destructions très étendues. Il y a des décombres dans les rues et des inondations étendues», selon Sune Gudnitz

DÉSOLATION

L’étendue des destructions était impossible à évaluer samedi, les communications ayant été coupées dans une grande partie du Vanuatu lorsque le cyclone a frappé de plein fouet l’archipel dans la nuit de vendredi à samedi, avec des vents pouvant atteindre jusqu’à 330 km/heure.
This handout photo taken and received on March 14, 2015 by UNICEF Pacific shows storm damage to boats caused by Cyclone Pam, in the Vanuatu capital of Port Vila.  The huge tropical cyclone smashed into Vanuatu in the South Pacific, terrifying residents and leaving "complete devastation" with fears on March 14 that dozens of people may have died.     AFP PHOTO / UNICEF Pacific
---EDITORS NOTE--- RESTRICTED TO EDITORIAL USE - MANDATORY CREDIT "AFP PHOTO / UNICEF Pacific" - NO MARKETING NO ADVERTISING CAMPAIG
Contrairement à ce qui était redouté, le cyclone Pam qui est passé samedi à l’est de l’archipel français de Nouvelle-Calédonie, à 500 km à l’ouest du Vanuatu, n’y a fait ni victimes ni dégâts majeurs. Mais au Vanuatu c’était la désolation. «Ce matin, c’est un spectacle de dévastation totale ici», a déclaré Tom Skirrow, de l’organisation humanitaire Save The Children, depuis la capitale du Vanuatu, Port Vila. «Les maisons sont détruites, les arbres sont au sol, les rues sont bloquées et les gens errent dans les rues à la recherche de secours», a-t-il dit, tandis que l’électricité et les communications étaient coupées samedi dans presque tout le Vanuatu.
This handout photo taken and received on March 14, 2015 by UNICEF Pacific shows residents looking through storm damage caused by Cyclone Pam, in the Vanuatu capital of Port Vila.  The huge tropical cyclone smashed into Vanuatu in the South Pacific, terrifying residents and leaving "complete devastation" with fears on March 14 that dozens of people may have died.     AFP PHOTO / UNICEF Pacific
---EDITORS NOTE--- RESTRICTED TO EDITORIAL USE - MANDATORY CREDIT "AFP PHOTO / UNICEF Pacific" - NO MARKETING NO AD
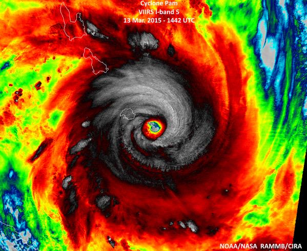
A l'heure où j'écris ce message (dimanche soir à l'heure de NZ), Pam est au plus près d'Opua, où se trouve Sabay Dii. J'ai choisi de le laisser dans l'endroit le mieux protégé de Nouvelle Zélande se débrouiller seul. J'ai pris le soin de le préparer pour le pire et il est inutile et extrêmement dangereux de rester à bord dans des conditions aussi épouvantables qu'un cyclone même faiblissant (vent attendus de 120 km/h)
Wait and see !

Publié par SABAY DII à 12:08 Aucun commentaire:
Envoyer par e-mailBlogThis!Partager sur XPartager sur FacebookPartager sur Pinterest

jeudi 12 mars 2015

Les bateaux de la Volvo Ocean Race à Auckland

D'abord les bateaux le soir de leur arrivée (photos du site officiel de la VOR)...
Mapfre arrive le premier dans le bassin de Westhaven

Abu Dhabi, le deuxième de l'étape arrive à son tour
suivi de Dongfeng, les trois premiers finissant dans un mouchoir de poche.
Les filles de SCA clôturent la soirée des arrivées à Auckland
Tout le monde (sauf le Team Vestas qui s'est échoué en chemin) est arrivé

Le lendemain de l'arrivée


                                                                                                                                                                                                                                                                                                                             Il y eu aussi la proclamation des résultats provisoires mais aussi généraux (Abu Dhabi et Dongfeng premiers ex-aequo devant Mapfre)

Comme vous vous en doutez, je n'étais pas le seul à venir voir ces incroyables bolides des mers de presque 20 mètres de long et de presque 5 m de tirant d'eau. Mais ils ne vont pas rester longtemps à quai. Ils ont été très vite démâtés puis grutés pour être déposés sur d'énormes ber afin d'être bichonnés.


La voilerie









Toutes les équipes techniques sont à fond ...


Les wincheurs s'entraînent à soulever des poids
Et pendant ce temps, les innombrables curieux profitent de toutes les activités et/ou spectacles organisés par le comité de la VOR. Il y en a pour tous les goûts. Ainsi, j'aurai assisté à la projection sur grand écran surround de l'échouage de Team Vestas.
visité la maquette grandeur nature d'un VOR 65
 assisté à des concerts
 piloté sur simulateur un VOR65 
 assisté à des séances d'initiation à la voile pour les enfants des écoles primaires
observé une régate d'Optimist d'excellent niveau tant technique que tactique

et en plus de tout ça, j'aurai eu le privilège de tenir en main
le trophée de la Volvo Ocean Race !
YES !!!
Et les festivités ne sont pas finies, loin de là car à la fin de la semaine a lieu la régate entre tous les concurrents de la Volvo Ocean Race, juste devant Auckland.
A coup sûr, du grand spectacle !
Il faudra être sur le grand pont à côté de Marina Westhaven où se trouvait Sabay Dii il y a un mois.
Pour vous mettre l'eau à la bouche, une petite video de présentation ...
Publié par SABAY DII à 02:40 Aucun commentaire:
Envoyer par e-mailBlogThis!Partager sur XPartager sur FacebookPartager sur Pinterest

mercredi 11 mars 2015

Arrivée de la Volvo Ocean Race à Auckland ... j'y étais !

Volvo Ocean Race
C'est La grande course à la voile autour du monde en équipage et en monotypie.
Monotypie, cela veut dire que tous les bateaux sont absolument identiques.
La nouvelle classe Volvo Ocean 65 a été imaginée, dessinée et construite pour être une machine de course performante et compétitive. Les plans de ce tout nouveau monotype utilisé sur les deux prochaines éditions de la Volvo Ocean Race ont été dessinés par le cabinet Farr Yacht Design aux Etats-Unis. Un consortium de quatre chantiers navals est en charge de sa construction : Multiplast en France, Green Marine en Grande-Bretagne, Décision en Suisse et Persico en Italie.
Le nouveau Volvo Ocean 65 comprend une série d’innovations qui le rendent rapide sur l’eau et capable de résister aux conditions les plus dures – le tout sans sacrifier son look. 

Au niveau de sa quille

Le tirant d’eau maximum a été augmenté. Il passe de 4,5 à 4,7 mètres, ce qui permet d’accroître le couple de redressement tout en réduisant le poids de la quille, pour améliorer les performances du bateau.

L'axe de quille

Le nouveau bateau a un axe de pivotement de la quille incliné qui aura des effets positifs sur les performances, créant une grande force verticale sur le voile de quille et générant ainsi de la portance en réduisant déplacement et traînée.

Sa structure

Le Volvo Ocean 65 comprend huit cloisons, contre quatre sur un Volvo Open 70. Une augmentation qui permet de renforcer la structure du bateau.

Une étrave inversée

L’étrave inversée est avant tout une caractéristique esthétique à un endroit du bateau qui compte parmi les plus photographiés, mais elle permet également d’avoir moins d’eau à l’avant.

Deux ballasts d'eau supplémentaires

Sur les Volvo Open 70, il n’y avait qu’un seul ballast à l’arrière. Le Volvo Ocean 65 a deux ballasts à l’arrière et un central à l’avant, ce qui permet de le faire gîter artificiellement pour améliorer la vitesse par petit temps en diminuant la surface mouillée.

Un voilier multimedia

Chaque bateau est équipé de cinq caméras fixes et deux points de liaison, qui permettront de couvrir la course sous tous les angles. Une caméra et un micro sont installés dans la descente pour des plans rapprochés des marins. Les caméras peuvent être télécommandées, tandis que les nouveaux systèmes de prise de sons et leurs emplacements amélioreront l’enregistrement des voix. Les caméras et les micros seront d’ailleurs beaucoup mieux protégés des vents et de l’eau, ce qui permettra les interviews dans le cockpit.

Des voiles high-tech

Fabriquées par North Sails dans son usine du Nevada et finalisées en France, à Vannes, et en Espagne, les voiles des Volvo Ocean 65 bénéficient de l’expérience et de la technologie de la première voilerie au monde. North Sails utilise la technologie de pointe 3Di, une technique de moulage en 3D qui donne aux voiles la forme caractéristique d’une voile gonflée en navigation.
Chaque monotype part autour du monde avec 12 voiles. C’est beaucoup moins que sur les éditions précédentes, ce qui contribue à réduire les coûts. Les équipes ne peuvent embarquer que huit voiles pendant la course, sans recoupe supplémentaire, et n’ont que quatre voiles de remplacement. A l’exception de la voile A3 et du tourmentin, toutes les voiles sont fabriquées dans différents deniers suivant le procédé 3Di de North Sails, avec des bandes pré-imprégnées en fibres d’aramide noir Twaron et de Dyneema SK75.
Le carbone n’est pas autorisé comme matériau de fabrication des voiles car il bloque les signaux de communication satellite et les transferts de données. La production et la livraison sont étroitement contrôlées et un jeu de voiles pour la période précédant le départ est fabriqué et mis à la disposition des équipes à mesure que les bateaux quittent la chaîne de production, toutes les sept semaines. Les voiles de course sont ensuite fabriquées par série, de façon à utiliser les mêmes moules pour plusieurs voiles de chaque type. Chaque type de voile est ensuite terminé dans le même atelier et par la même équipe pour garantir une forme et une qualité de production identique.
Pour plus de détails, allez à l'adresse suivante : http://www.volvooceanrace.com/fr/boat.html


Pour l'édition actuelle (2014-2015) 7 bateaux seulement sont engagés, mais c'est ce qui se fait de mieux question valeur des équipages ...
Pour plus de détails, allez à l'adresse suivante : http://www.volvooceanrace.com/fr/teams.html
La course n'a lieu que tous les quatre ans avec cette année 9 étapes, dont l'étape Sanya - Auckland à l'arrivée de laquelle j'étais présent. Youpi !
Pour plus de détails, allez à l'adresse suivante : http://www.volvooceanrace.com/fr/route.html

Une arrivée groupée (pour les trois premiers) en début de nuit,
en images et en vidéos ...


1 – Mapfre (skipper Xabi Fernandez)

2 – Abu Dhabi Ocean Racing (skipper Ian Walker) à 4 minutes et 25 secondes

3 – Dongfeng Race Team (skipper Charles Caudrelier) à 8 minutes et 2 secondes)

4 – Team Alvimedica

5 – Team Brunel

6 – Team SCA

Mapfre, le vainqueur de l'étape à l'approche d'Auckland
Auckland en vue pour le premier
Abu Dhabi, le secon

Dongfeng le troisième (un équipage franco-chinois)
Alvimedica, quatrième de l'étape
Le Tram Brunel, cinquième de l'étape

Le team SCA, rien que des filles
Et ne cherchez pas le septième bateau car le team Vestas s'est échoué sur une île, suite à une erreur incroyable de navigation.
J'ai pu assister à Auckland, sur grand écran, à la projection du film de cet échouage qui n'a heureusement fait aucune victime, et je me suis débrouillé pour vous en trouver un extrait ...
Publié par SABAY DII à 02:32 Aucun commentaire:
Envoyer par e-mailBlogThis!Partager sur XPartager sur FacebookPartager sur Pinterest
Articles plus récents Articles plus anciens Accueil
Inscription à : Commentaires (Atom)

Rechercher dans ce blog

Membres

Archives du blog

  • ►  2024 (3)
    • ►  décembre (1)
    • ►  octobre (1)
    • ►  mai (1)
  • ►  2023 (11)
    • ►  décembre (1)
    • ►  septembre (1)
    • ►  août (4)
    • ►  juillet (5)
  • ►  2022 (28)
    • ►  décembre (1)
    • ►  août (4)
    • ►  juillet (3)
    • ►  juin (6)
    • ►  mai (7)
    • ►  avril (7)
  • ►  2021 (26)
    • ►  novembre (3)
    • ►  octobre (2)
    • ►  août (2)
    • ►  juillet (7)
    • ►  juin (5)
    • ►  mai (3)
    • ►  avril (2)
    • ►  mars (1)
    • ►  janvier (1)
  • ►  2020 (22)
    • ►  décembre (2)
    • ►  septembre (1)
    • ►  août (3)
    • ►  juillet (2)
    • ►  juin (4)
    • ►  mai (2)
    • ►  avril (2)
    • ►  mars (4)
    • ►  février (1)
    • ►  janvier (1)
  • ►  2019 (53)
    • ►  décembre (2)
    • ►  octobre (1)
    • ►  septembre (1)
    • ►  août (4)
    • ►  juillet (9)
    • ►  juin (7)
    • ►  mai (5)
    • ►  avril (7)
    • ►  mars (9)
    • ►  février (3)
    • ►  janvier (5)
  • ►  2018 (53)
    • ►  décembre (2)
    • ►  novembre (1)
    • ►  octobre (1)
    • ►  septembre (3)
    • ►  août (5)
    • ►  juillet (3)
    • ►  juin (1)
    • ►  mai (1)
    • ►  avril (18)
    • ►  mars (3)
    • ►  février (7)
    • ►  janvier (8)
  • ►  2017 (62)
    • ►  décembre (3)
    • ►  octobre (2)
    • ►  septembre (3)
    • ►  août (10)
    • ►  juillet (14)
    • ►  juin (2)
    • ►  mai (1)
    • ►  avril (5)
    • ►  mars (9)
    • ►  février (5)
    • ►  janvier (8)
  • ►  2016 (75)
    • ►  décembre (6)
    • ►  novembre (5)
    • ►  octobre (8)
    • ►  septembre (6)
    • ►  août (4)
    • ►  juillet (6)
    • ►  juin (9)
    • ►  mai (9)
    • ►  avril (6)
    • ►  mars (7)
    • ►  février (7)
    • ►  janvier (2)
  • ▼  2015 (55)
    • ►  décembre (6)
    • ►  novembre (4)
    • ►  octobre (9)
    • ►  août (1)
    • ►  juin (1)
    • ►  mai (4)
    • ►  avril (1)
    • ▼  mars (13)
      • De retour sur Sabay Dii
      • Départ retardé de la Volvo Ocean Race à Auckland
      • "Quinze ou trente minutes de terreur absolue" au V...
      • Les bateaux de la Volvo Ocean Race à Auckland
      • Arrivée de la Volvo Ocean Race à Auckland ... j'y ...
      • Le cyclone Pam
      • Le Mécano de la Générale ou la Bète Humaine
      • De Whangarei à Opua
      • Un méchant cyclone s'approche de Sabay Dii
      • Les environs de Whangarei
      • Whangarei : une drôle de ville mais un extraordina...
      • Les tribulations d'Olivier, pêcheur-cuistot à ses ...
      • La bibliothèque de Waiheke
    • ►  février (7)
    • ►  janvier (9)
  • ►  2014 (93)
    • ►  décembre (17)
    • ►  novembre (6)
    • ►  octobre (6)
    • ►  septembre (18)
    • ►  août (13)
    • ►  juillet (6)
    • ►  juin (6)
    • ►  mai (2)
    • ►  avril (6)
    • ►  mars (7)
    • ►  février (4)
    • ►  janvier (2)
  • ►  2013 (102)
    • ►  décembre (9)
    • ►  novembre (12)
    • ►  octobre (12)
    • ►  septembre (8)
    • ►  août (3)
    • ►  juillet (8)
    • ►  juin (5)
    • ►  mai (8)
    • ►  avril (4)
    • ►  mars (6)
    • ►  février (1)
    • ►  janvier (26)
  • ►  2012 (99)
    • ►  décembre (27)
    • ►  novembre (7)
    • ►  octobre (9)
    • ►  septembre (1)
    • ►  août (3)
    • ►  juillet (4)
    • ►  juin (2)
    • ►  mai (12)
    • ►  avril (15)
    • ►  mars (8)
    • ►  février (7)
    • ►  janvier (4)
  • ►  2011 (64)
    • ►  décembre (8)
    • ►  novembre (5)
    • ►  octobre (7)
    • ►  septembre (5)
    • ►  juillet (2)
    • ►  juin (9)
    • ►  mai (6)
    • ►  avril (5)
    • ►  mars (2)
    • ►  février (4)
    • ►  janvier (11)
  • ►  2010 (46)
    • ►  décembre (9)
    • ►  novembre (14)
    • ►  octobre (9)
    • ►  septembre (7)
    • ►  juin (7)

Qui êtes-vous ?

Ma photo
SABAY DII
RM 1200 n°32
Afficher mon profil complet
Thème Awesome Inc.. Fourni par Blogger.